Жеребенок в выездку
                                                                                Описание
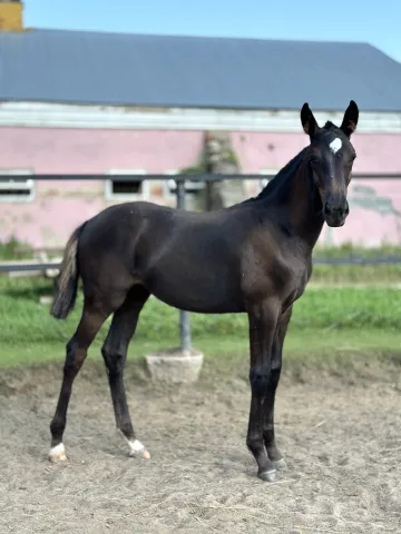
                        Предлагается к продаже перспективная кобылка 2024г в выездку или в разведение, на втором фото отец KWPN Mc Gregor (Карцево), мать Русская Верховая внучка Zaalkonig(тракен)Торг у копыт По линии отца Glock’s Toto, Totilas, Gribaldi, Desperados, De Niroперспектива роста 170+, выездка, находится в Московской области, По всем вопросам и за доп. фото +7(982)838 00 64 (телеграм и вотсап)
Данные
                    | Обьявление | От частного лица | 
|---|---|
| Год рождения | 2024 (1 лет) | 
| Цена | Цена по запросу | 
| Порода | Русская верховая | 
| Пол | кобыла | 
| Масть | Вороная | 
| Высота в холке (см) | 170 cm | 
| Специализация | выездка | 
| Местоположение | Московская область | 
| Документы | |
| Родители | McGregor | 
Комментарии 
    
    Пожалуйста, авторизуйтесь или зарегистрируйтесь для комментирования	
                

