Fefa
Pro
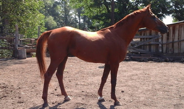
Крепкий, длинных линий. Большая голова, мало затылка, длинная поясница, свислый круп, подхват под запястьем, бедная пясть, пустой.
1.Байгали 2
донская (XXI,)
з.-рыж. ж., 17.05.2013 г
В хозяйстве: Зимовниковский конзавод
1205 Бамбук ( Линия Барвинок Семейство Колибри ) )
6159 Гейза ( Линия Гульсын Семейство Свита )



1.Байгали 2
донская (XXI,)
з.-рыж. ж., 17.05.2013 г
В хозяйстве: Зимовниковский конзавод
1205 Бамбук ( Линия Барвинок Семейство Колибри ) )
6159 Гейза ( Линия Гульсын Семейство Свита )


