Сегодня уточнила-таки. Отправленную в М.Вишеру черную моську Бусю-Ладу в конце концов назвали Диной

Собачкой довольны. В скором времени обещали фото.
Разбавлю немного собачью тему конями и котами
Видео многострадального Ландыша
View: https://www.youtube.com/watch?time_continue=3&v=z_cLT_OVX1g
Острая фаза прошла, понёк уже неделю без лекарств. Жалею, что сразу не стала колоть Флуниджект (аналог Фенилбутазона), который начал помогать буквально в тот же день!!! а потратила кучу времени на слабый бесполезный Летайнил и еще попутно кучу ненужных лекарств коню скормила и вколола ((((
После Флуниджекта Ландыш на третий день стал бегать рысью!!! Понятно, что я его всячески ограничивала в движении, привязывала около конюшни на корду, но по дороге домой до денника он все же пробегался рысью с огромным удовольствием. Устал быть калекой, бедный...
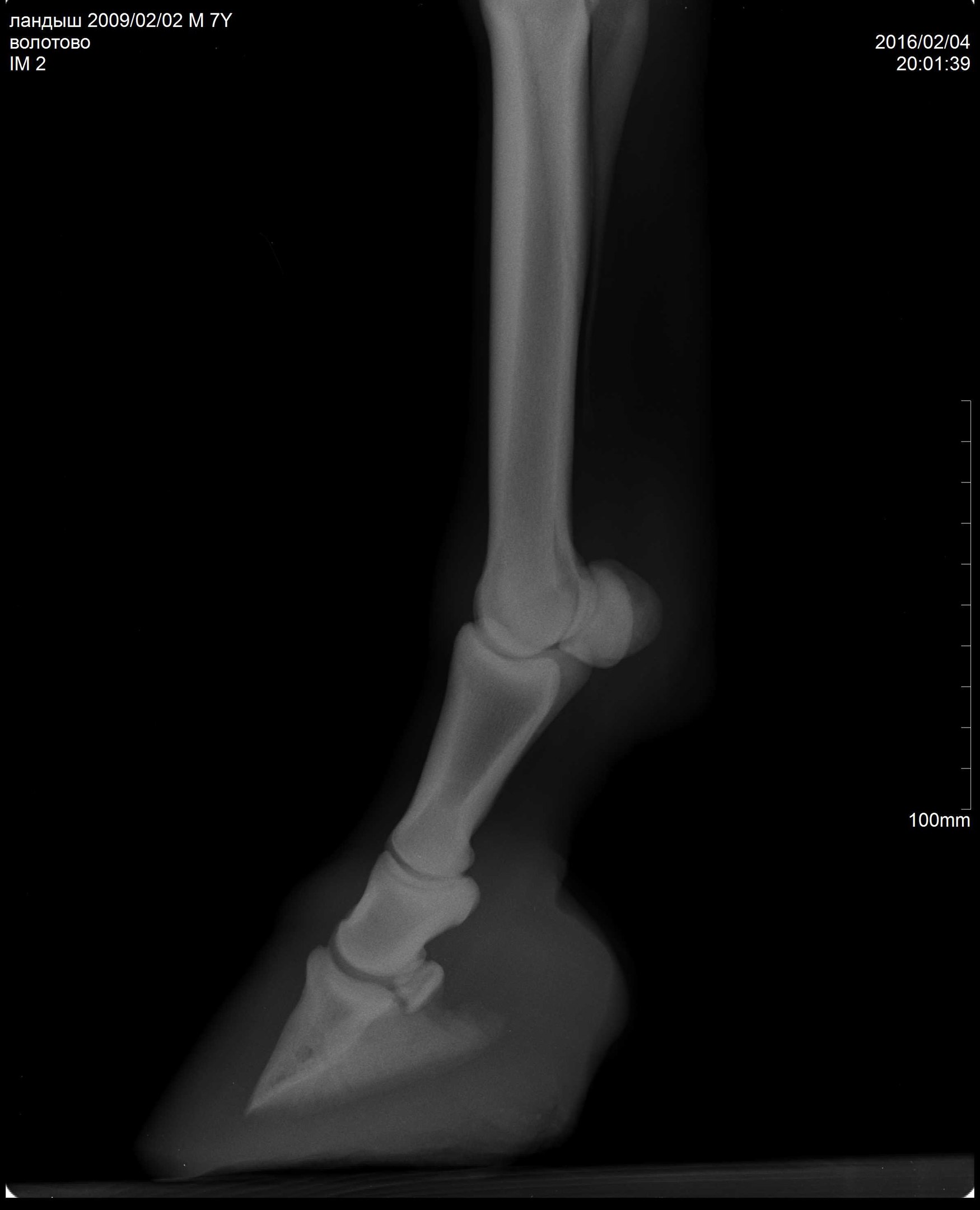
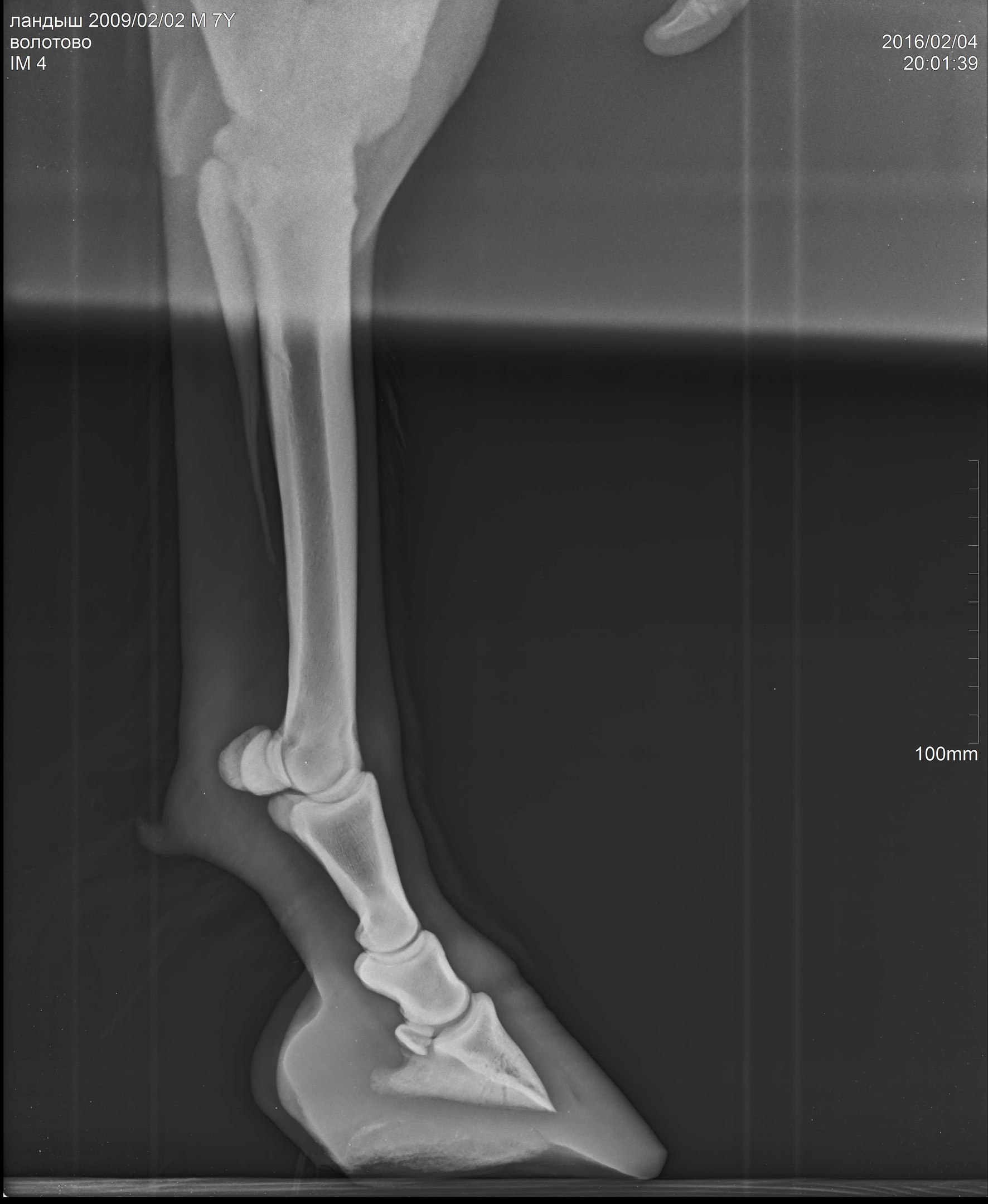
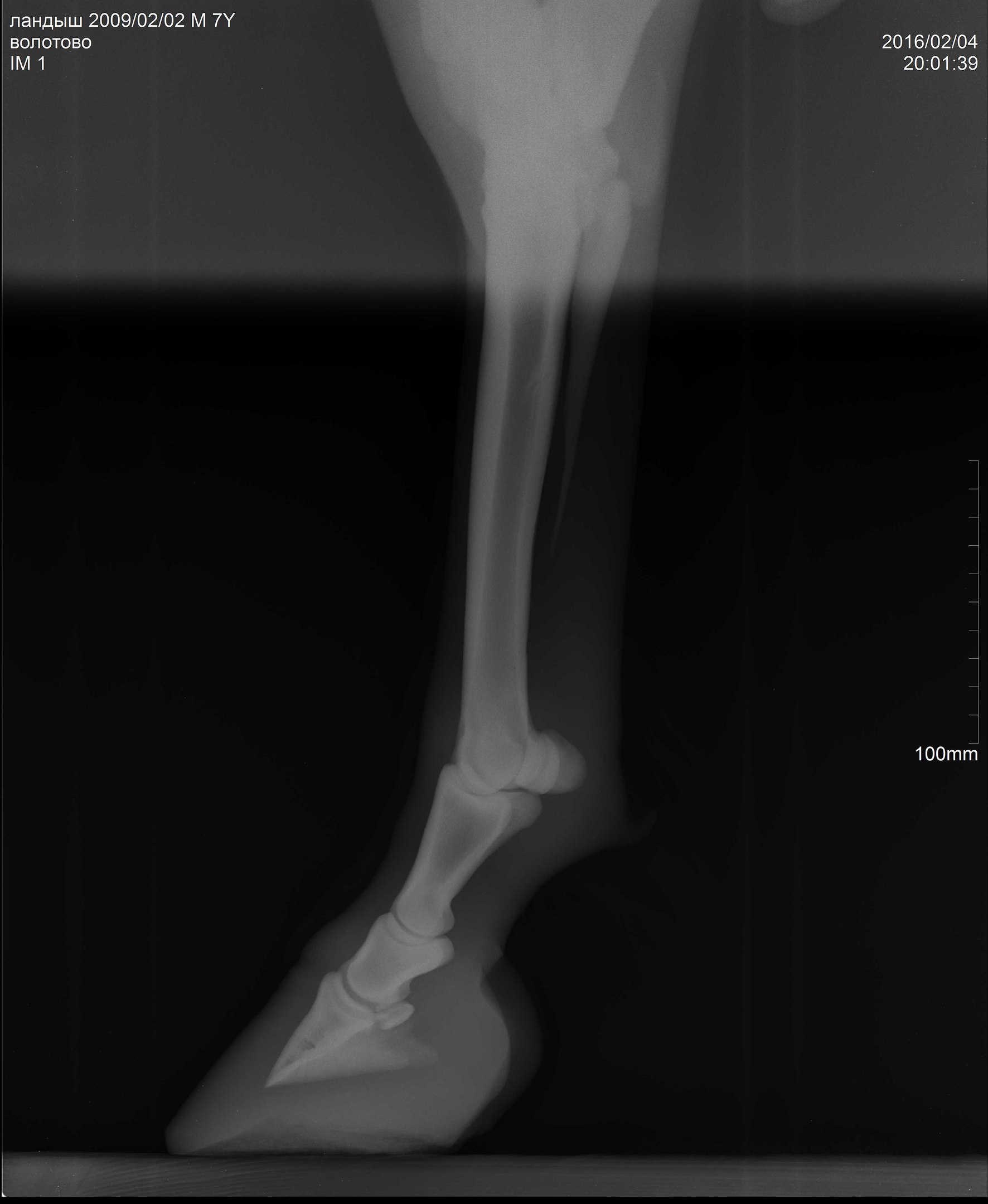
В общем, после чудесного-расчудесного лекарства Флуниджекта и замечательных обнадеживающих рентгенов пони всего лишь требовалась грамотная расчистка. Нужно было чуть изменить угол копыт, чтобы выправить копытную кость более-менее параллельно подошве (хоть в некоторых статьях я читала, что совсем необязательно эта параллельность должна быть нормой).
Однако, дозваться и дождаться нашего единственного на весь город коваля-профессионала у меня не хватило сил/терпения, т.к. я места себе уже не находила от всего пережитого. Для меня каждый день промедления был смерти подобен. Поэтому после 4-х дней ожидания я психанула и в порыве отчаяния, что помощи ждать неоткуда, полезла в копыта сама... лучше бы я этого не делала, конечно


Наворокосила, не то слово ((( Примерно понимала, что надо сделать. Но опыта ноль практически, и руки явно не из того места растут ((( До этого я бралась за инструменты не чаще, чем раз в 3 месяца, устраняя лишь явные грубые детали и позволяя копытам стираться и изнашиваться на естественном грунте, как им заблагорассудится. Ну, если за зиму копыта сильно отрастали, весной бралась за клещи и откусывала лишнее, запиливая потом шероховатости рашпилем, да стрелку обрезала, придавая ей форму.
Вот и вся моя нехитрая расчистка... Дёшево и сурово.

А тут нужна была тонкая, филигранная работа. Рентгенолог Анна мне оставила диск с программой, где можно было выверять углы, каждый миллиметр контролировать!!!! А я, конечно, со своими клещами и целью тупо на 1см понизить пятки, натворила дел (((
Недолго я радовалась, что болезнь отступила.
Ландыш после моей "расчистки" снова стал ковылять ((((( Но он не сдается, столько в нем силы!!! Видно, что боль от ламинита его отпустила, т к он ведёт себя так же, как и до болезни. В смысле, какает в одну кучку, а не по всему периметру, как когда ему плохо было. Валяется в опилках, чешется о перегородки, ходит "активно", если это можно так назвать. В общем, ожил. Видно, что сейчас дискомфорт и боль ему доставляет именно моя "расчистка".
От страшной неизвестности, что же будет дальше с пончиком??? меня спасла
Анюта М!!!!! Она меня успокоила и подробно проконсультировала, внесла хоть какую-то ясность в мои мозги.